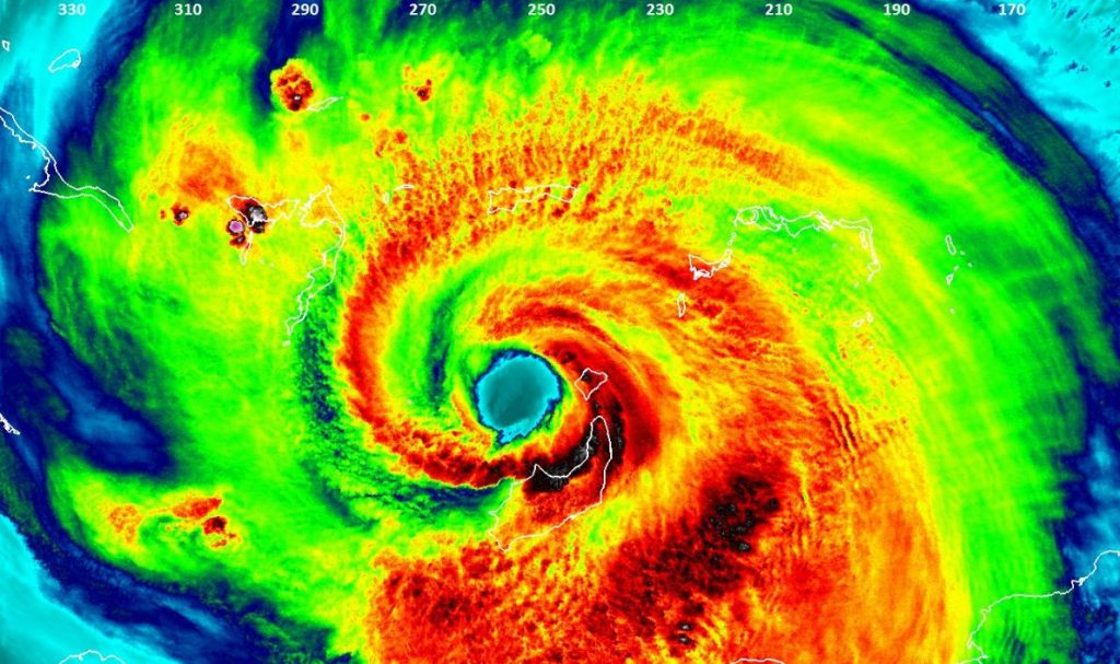
Live footage of the satellite image of Hurricane Irma’s Track as it approaches in cities of Florida. The Hurricane Irma is expected to hit Miami early on Sunday, September 10, 2017. Apparently, Hurricane Irma has downgraded to Category 4, according to reports.
There were be a destructive 150 mph wind, heavy rains and coastal flooding to land in Miami around 2 a.m. Sunday.
Further information, the storm will hit Orlando (Category 2 winds of 105 mph) on Monday. The storm followed heading to Atlanta with 45 mph of winds on Tuesday, September 12, 2017.
See the Live Satellite of Hurricane Irma:
https://www.facebook.com/FoxNews/videos/10155947537591336/
Share your thoughts and comment in discussion box below!








